Официальное опубликование правовых актов
ОФИЦИАЛЬНОЕ ОПУБЛИКОВАНИЕ
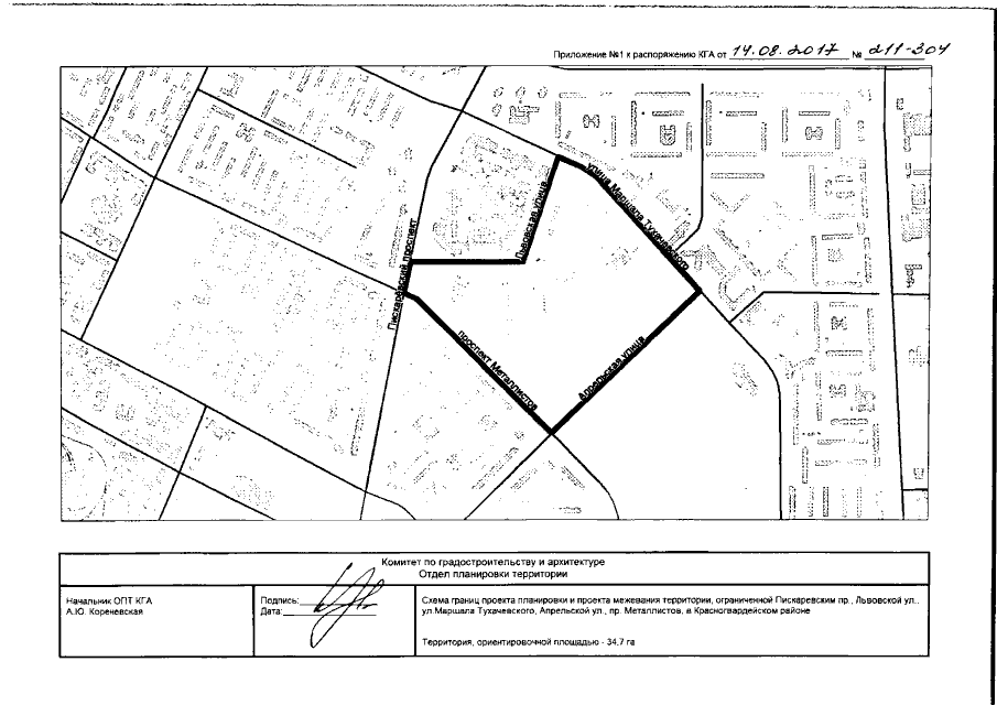
Распоряжение Комитета по градостроительству и архитектуре Санкт-Петербурга от 14.08.2017 № 211-304
"О подготовке изменений в проект планировки с проектом территории, ограниченной Пискаревским пр., Львовской ул., ул.Маршала Тухачевского, Апрельской ул., пр.Металлистов, в Красногвардейском районе, утвержденный постановлением Правительства Санкт-Петербурга от 18.03.2008 №293 (с изменениями на 27.06.2017)"
Номер опубликования: 7801201708160001
Дата опубликования: 16.08.2017
Страница №3 из 10:
Увеличить