Официальное опубликование правовых актов
ОФИЦИАЛЬНОЕ ОПУБЛИКОВАНИЕ
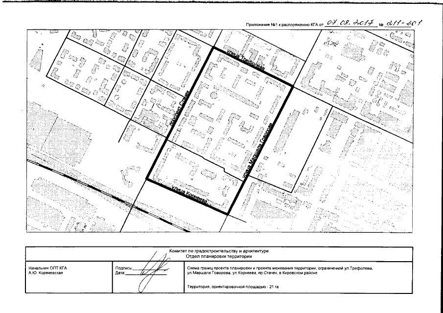
Распоряжение Комитета по градостроительству и архитектуре Санкт-Петербурга от 07.08.2017 № 211-301
"О подготовке документации по планировке территории, ограниченной ул.Трефолева, ул.Маршала Говорова, ул.Корнеева, пр.Стачек, в Кировском районе"
Номер опубликования: 7801201708070018
Дата опубликования: 07.08.2017
Страница №3 из 10:
Увеличить