Официальное опубликование правовых актов
ОФИЦИАЛЬНОЕ ОПУБЛИКОВАНИЕ
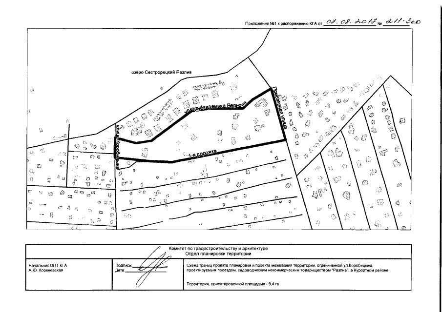
Распоряжение Комитета по градостроительству и архитектуре Санкт-Петербурга от 07.08.2017 № 211-300
"О подготовке изменений в проект планировки и проект межевания территории, ограниченной ул.Коробицына, проектируемым проездом, Приозерной ул., садоводческим некоммерческим товариществом "Разлив", в Курортном районе, утвержденный постановлением Правительства Санкт-Петербурга от 23.09.2010 №1283"
Номер опубликования: 7801201708070016
Дата опубликования: 07.08.2017
Страница №3 из 10:
Увеличить