Официальное опубликование правовых актов
ОФИЦИАЛЬНОЕ ОПУБЛИКОВАНИЕ
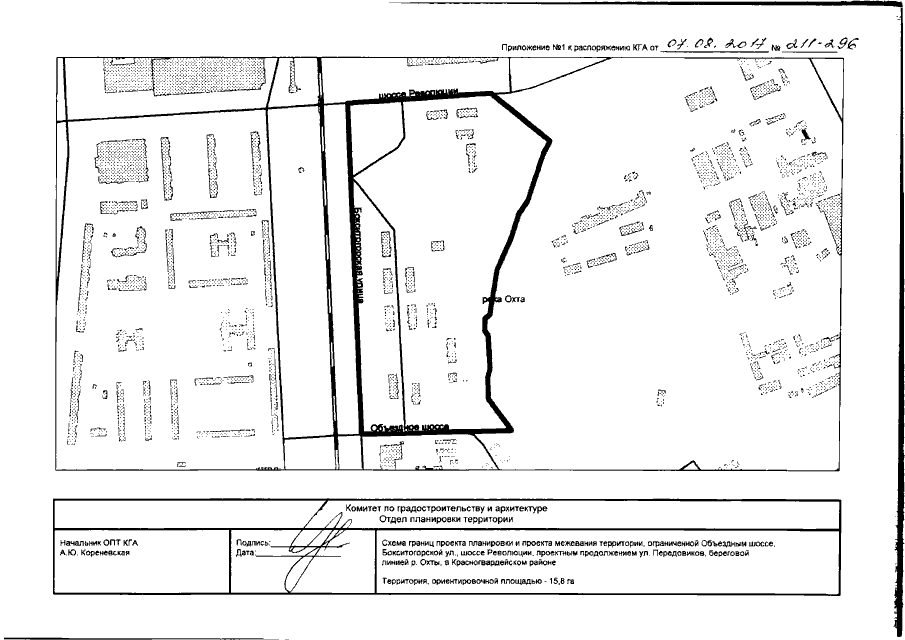
Распоряжение Комитета по градостроительству и архитектуре Санкт-Петербурга от 14.08.2017 № 211-296
"О подготовке документации по планировке территории, ограниченной Объездным шоссе, Бокситогорской ул., шоссе Революции, проектным продолжением ул. Передовиков, береговой линией р. Охты, в Красногвардейском районе"
Номер опубликования: 7801201708070007
Дата опубликования: 07.08.2017
Страница №3 из 10:
Увеличить