Официальное опубликование правовых актов
ОФИЦИАЛЬНОЕ ОПУБЛИКОВАНИЕ
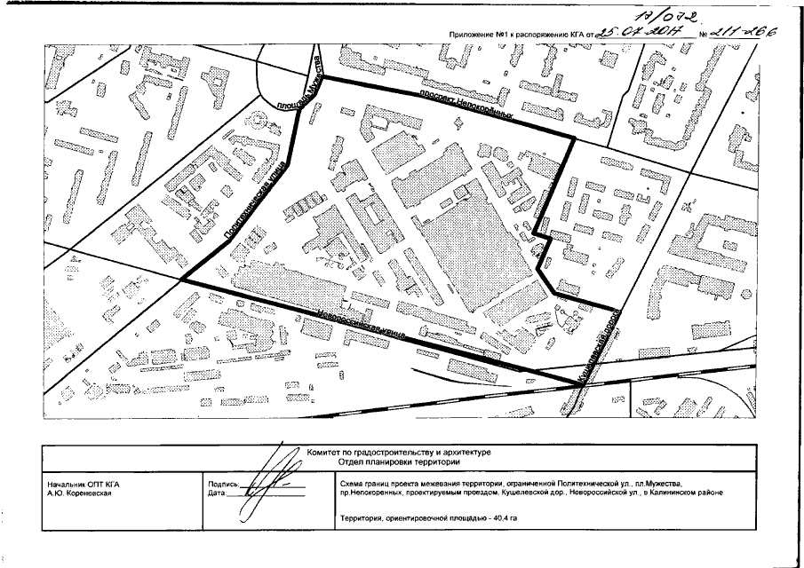
Распоряжение Комитета по градостроительству и архитектуре Санкт-Петербурга от 25.07.2017 № 211-266
"О подготовке документации по планировке территории, ограниченной Политехнической ул., пл.Мужества, пр.Непокоренных, проектируемым проездом, Кушелевской дор., Новороссийской ул., в Калининском районе"
Номер опубликования: 7801201707270018
Дата опубликования: 27.07.2017
Страница №3 из 7:
Увеличить