Официальное опубликование правовых актов
ОФИЦИАЛЬНОЕ ОПУБЛИКОВАНИЕ
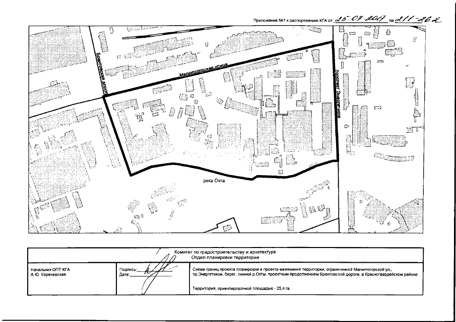
Распоряжение Комитета по градостроительству и архитектуре Санкт-Петербурга от 25.07.2017 № 211-262
"О подготовке документации по планировке территории, ограниченной Магнитогорской ул., пр.Энергетиков, береговой линией р.Охты, проектным продолжением Брантовской дороги, в Красногвардейском районе"
Номер опубликования: 7801201707270002
Дата опубликования: 27.07.2017
Страница №3 из 10:
Увеличить