Распоряжение Комитета по градостроительству и архитектуре Санкт-Петербурга от 25.07.2017 № 211-261
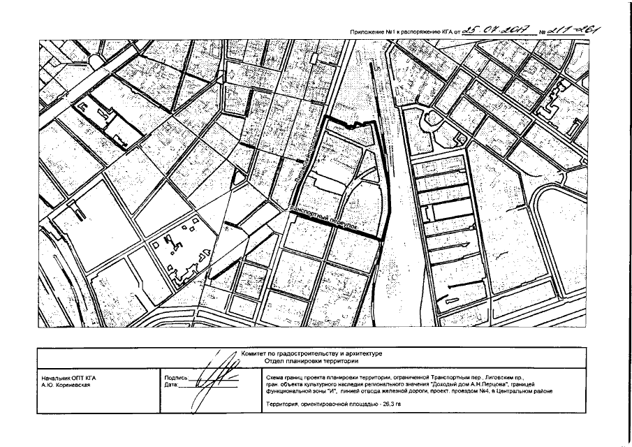
"О подготовке изменений в проект планировки территории, ограниченной Транспортным пер., Литовским пр., границей объекта культурного наследия регионального значения "Доходный дом А.Н.Перцова", границей функциональной зоны "И", линией отвода железной дороги, проектируемым проездом №4, в Центральном районе, утвержденный постановлением Правительства Санкт-Петербурга от 13.09.2011 №1338"
"О подготовке изменений в проект планировки территории, ограниченной Транспортным пер., Литовским пр., границей объекта культурного наследия регионального значения "Доходный дом А.Н.Перцова", границей функциональной зоны "И", линией отвода железной дороги, проектируемым проездом №4, в Центральном районе, утвержденный постановлением Правительства Санкт-Петербурга от 13.09.2011 №1338"
Номер опубликования: 7801201707270001
Дата опубликования:
27.07.2017
