Официальное опубликование правовых актов
ОФИЦИАЛЬНОЕ ОПУБЛИКОВАНИЕ
Распоряжение Комитета по градостроительству и архитектуре Санкт-Петербурга от 24.07.2017 № 211-255
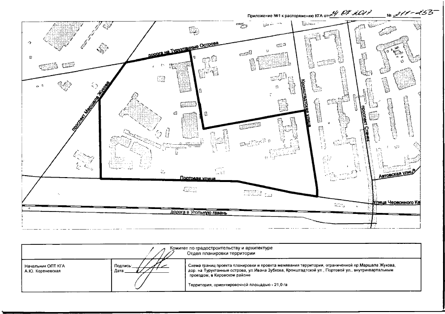
"О подготовке изменений в проект планировки с проектом межевания территории, ограниченной пр.Маршала Жукова, дор. на Турухтанные острова, Кронштадтской ул., Портовой ул., в Кировском районе, утвержденный постановлением Правительства Санкт-Петербурга от 07.12.2010 №1666, в части территории, ограниченной пр.Маршала Жукова, дорогой на Турухтанные острова, ул.Ивана Зубкова, Кронштадтской ул., Портовой ул., внутриквартальным проездом, в Кировском районе"
Номер опубликования: 7801201707260014
Дата опубликования: 26.07.2017
Страница №3 из 10:
Увеличить