Официальное опубликование правовых актов
ОФИЦИАЛЬНОЕ ОПУБЛИКОВАНИЕ
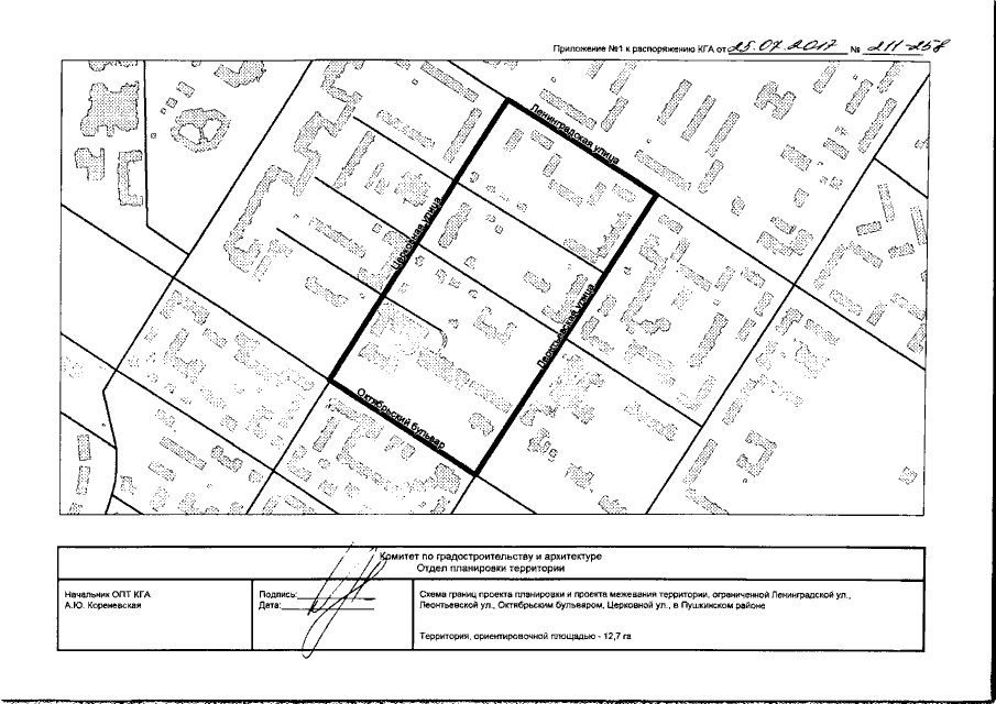
Распоряжение Комитета по градостроительству и архитектуре Санкт-Петербурга от 25.07.2017 № 211-258
"О подготовке документации по планировке территории, ограниченной Ленинградской ул., Леонтьевской ул., Октябрьским бульваром, Церковной ул., в Пушкинском районе"
Номер опубликования: 7801201707260007
Дата опубликования: 26.07.2017
Страница №3 из 10:
Увеличить