Официальное опубликование правовых актов
ОФИЦИАЛЬНОЕ ОПУБЛИКОВАНИЕ
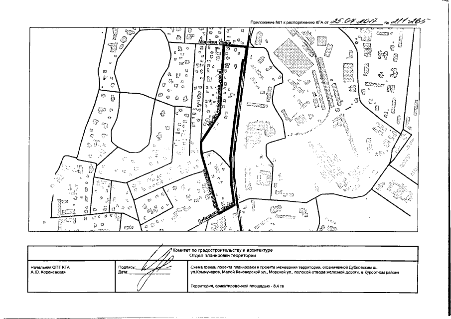
Распоряжение Комитета по градостроительству и архитектуре Санкт-Петербурга от 25.07.2017 № 211-265
"О подготовке документации по планировке территории, ограниченной Дубковским шоссе, ул. Коммунаров, Малой Канонерской ул., Морской ул., полосой отвода железной дороги, в Курортном районе"
Номер опубликования: 7801201707260002
Дата опубликования: 26.07.2017
Страница №3 из 10:
Увеличить