Официальное опубликование правовых актов
ОФИЦИАЛЬНОЕ ОПУБЛИКОВАНИЕ
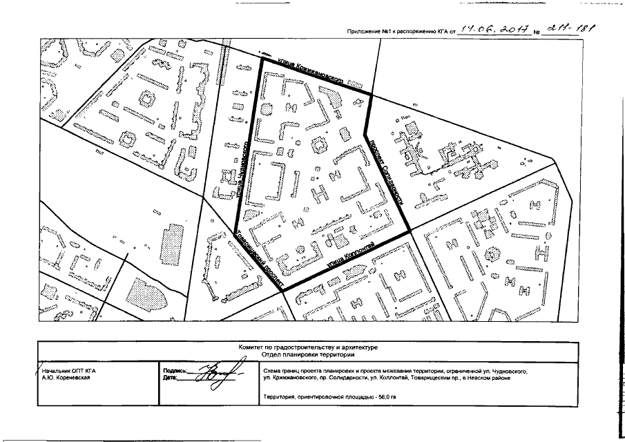
Распоряжение Комитета по градостроительству и архитектуре Санкт-Петербурга от 14.06.2017 № 211-181
"О подготовке документации по планировке территории, ограниченной ул. Чудновского, ул. Кржижановского, пр. Солидарности, ул. Коллонтай, Товарищеским пр., в Невском районе"
Номер опубликования: 7801201706160002
Дата опубликования: 16.06.2017
Страница №3 из 10:
Увеличить