Распоряжение Комитета по градостроительству и архитектуре Санкт-Петербурга от 05.06.2017 № 211-142
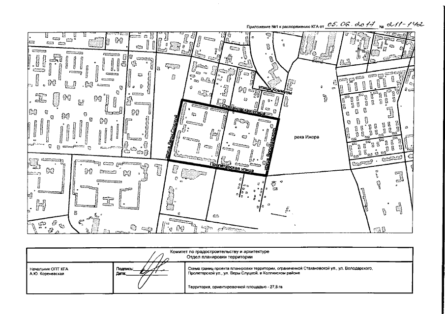
"О подготовке документации по планировке территории, ограниченной Стахановской ул., ул. Володарского, Пролетарской ул., ул. Веры Слуцкой, в Колпинском районе"
"О подготовке документации по планировке территории, ограниченной Стахановской ул., ул. Володарского, Пролетарской ул., ул. Веры Слуцкой, в Колпинском районе"
Номер опубликования: 7801201706060006
Дата опубликования:
06.06.2017
