Официальное опубликование правовых актов
ОФИЦИАЛЬНОЕ ОПУБЛИКОВАНИЕ
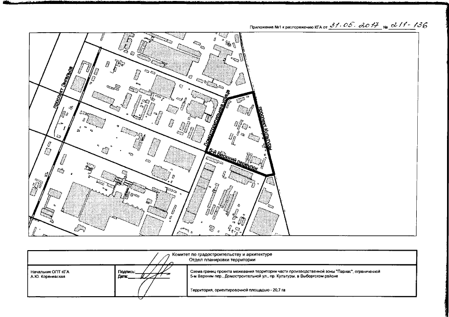
Распоряжение Комитета по градостроительству и архитектуре Санкт-Петербурга от 31.05.2017 № 211-136
"О подготовке изменений в проект межевания части территории производственной зоны "Парнас", ограниченной 5-м Верхним пер., Домостроительной ул., пр. Культуры, в Выборгском районе, утвержденный постановлением Правительства Санкт-Петербурга от 05.10.2010 №1338"
Номер опубликования: 7801201706050020
Дата опубликования: 05.06.2017
Страница №3 из 7:
Увеличить