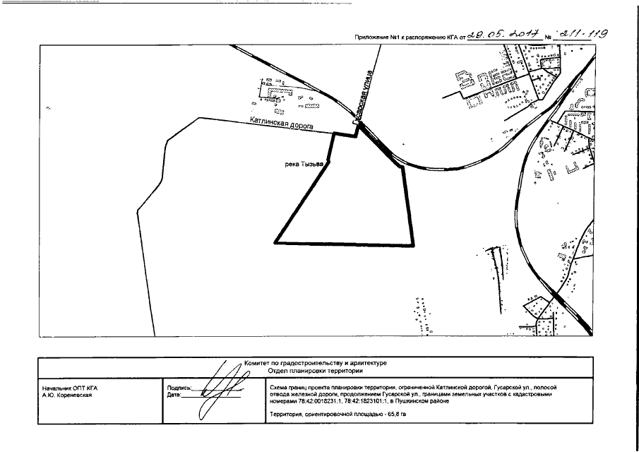
Распоряжение Комитета по градостроительству и архитектуре Санкт-Петербурга от 29.05.2017 № 211-119
"О подготовке документации по планировке территории, ограниченной Московским шоссе, границами территориальных зон "ТПД1_2", "ТРЗ-2", "ТИЗ", береговой линией р.Славянки, в Пушкинском районе"
"О подготовке документации по планировке территории, ограниченной Московским шоссе, границами территориальных зон "ТПД1_2", "ТРЗ-2", "ТИЗ", береговой линией р.Славянки, в Пушкинском районе"
Номер опубликования: 7801201706010027
Дата опубликования:
01.06.2017
