Официальное опубликование правовых актов
ОФИЦИАЛЬНОЕ ОПУБЛИКОВАНИЕ
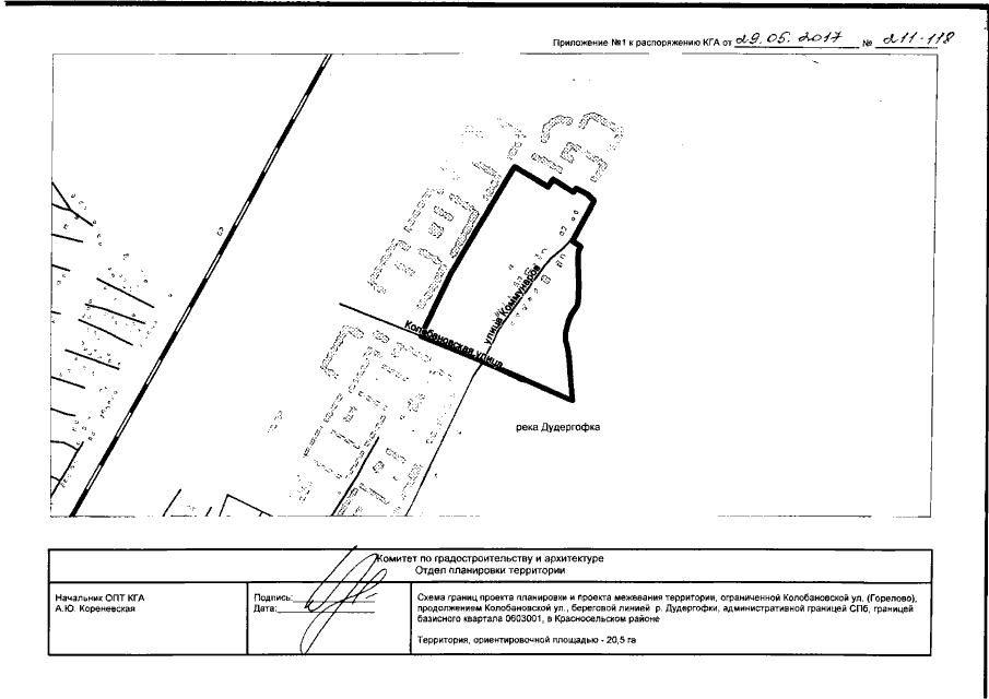
Распоряжение Комитета по градостроительству и архитектуре Санкт-Петербурга от 29.05.2017 № 211-118
"О подготовке документации по планировке территории, ограниченной Колобановской ул. (Горелово), продолжением Колобановской ул., береговой линией р. Дудергофки, административной границей Санкт-Петербурга, границей базисного квартала 0603001, в Красносельском районе"
Номер опубликования: 7801201706010025
Дата опубликования: 01.06.2017
Страница №3 из 10:
Увеличить