Официальное опубликование правовых актов
ОФИЦИАЛЬНОЕ ОПУБЛИКОВАНИЕ
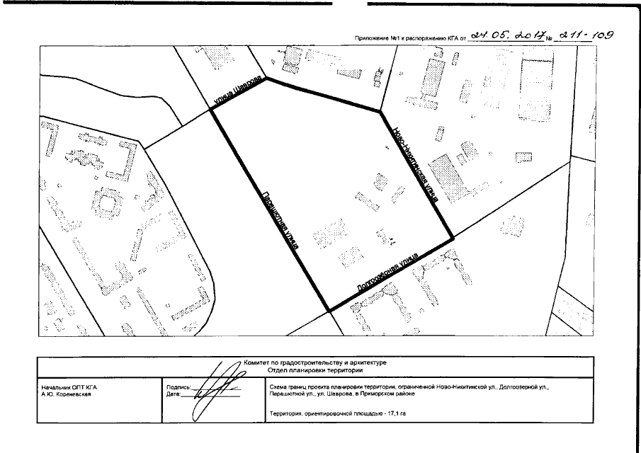
Распоряжение Комитета по градостроительству и архитектуре Санкт-Петербурга от 24.05.2017 № 211-109
"О подготовке изменений в проект планировки территории производственной зоны "Коломяги", ограниченной Шуваловским пр., проектным продолжением Шуваловского пр., Долгоозерной ул., Ново-Никитинской ул., Автобусным пер., Автобусной ул., ул. Маршала Новикова, Вербной ул., Парашютной ул., Репищевой ул., в Приморском районе, утвержденный постановлением Правительства Санкт-Петербурга от 22.03.2011 №339 в части территории, ограниченной Ново-Никитинской ул., Долгоозерной ул., Парашютной ул., ул. Шаврова, в Приморском районе"
Номер опубликования: 7801201705250005
Дата опубликования: 25.05.2017
Страница №3 из 9:
Увеличить