Официальное опубликование правовых актов
ОФИЦИАЛЬНОЕ ОПУБЛИКОВАНИЕ
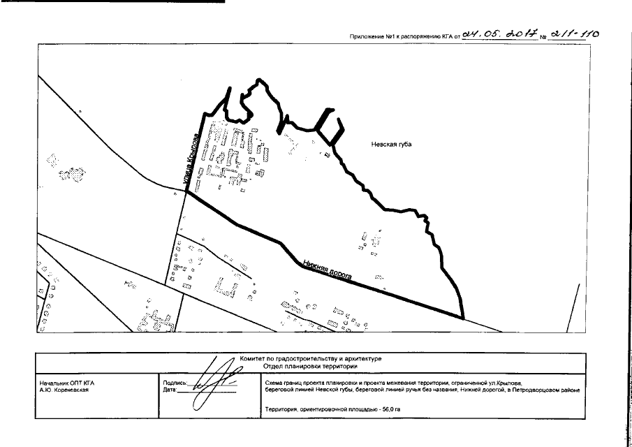
Распоряжение Комитета по градостроительству и архитектуре Санкт-Петербурга от 24.05.2017 № 211-110
"О подготовке документации по планировке территории, ограниченной ул. Крылова, береговой линией Невской губы, береговой линией ручья без названия, Нижней дорогой, в Петродворцовом районе"
Номер опубликования: 7801201705250003
Дата опубликования: 25.05.2017
Страница №3 из 10:
Увеличить