Распоряжение Комитета по государственному контролю, использованию и охране памятников истории и культуры Санкт-Петербурга от 12.05.2017 № 225-р
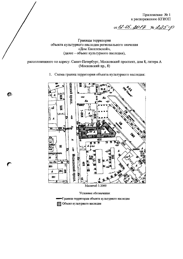
"Об утверждении границ и режима использования территории объекта культурного наследия регионального значения "Дом Киселевской"
"Об утверждении границ и режима использования территории объекта культурного наследия регионального значения "Дом Киселевской"
Номер опубликования: 7801201705180005
Дата опубликования:
18.05.2017
