Официальное опубликование правовых актов
ОФИЦИАЛЬНОЕ ОПУБЛИКОВАНИЕ
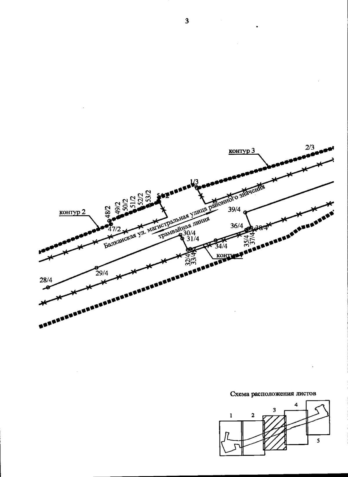
Постановление Правительства Санкт-Петербурга от 19.12.2024 № 1160
"Об утверждении проекта планировки с проектом межевания территории для размещения линейных объектов регионального значения "Балканская ул. и трамвайная линия на участке от Бухарестской ул. до Купчинской ул."
Номер опубликования: 7800202412260010
Дата опубликования: 26.12.2024
Страница №5 из 92:
Увеличить