Официальное опубликование правовых актов
ОФИЦИАЛЬНОЕ ОПУБЛИКОВАНИЕ
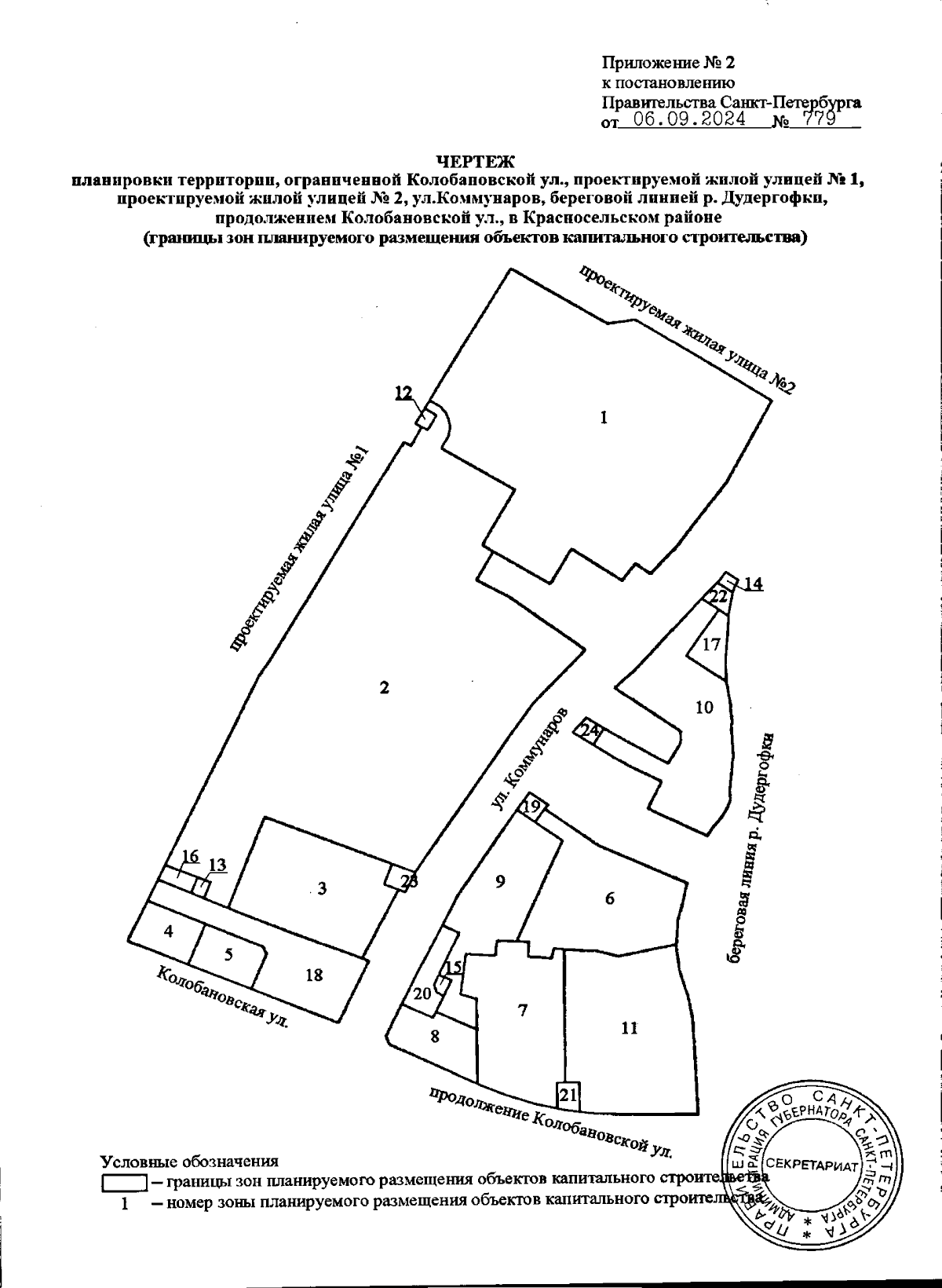
Постановление Правительства Санкт-Петербурга от 06.09.2024 № 779
"Об утверждении проекта планировки с проектом межевания территории, ограниченной Колобановской ул., проектируемой жилой улицей № 1, проектируемой жилой улицей № 2, ул.Коммунаров, береговой линией р.Дудергофки, продолжением Колобановской ул., в Красносельском районе"
Номер опубликования: 7800202409110004
Дата опубликования: 11.09.2024
Страница №4 из 31:
Увеличить