Официальное опубликование правовых актов
ОФИЦИАЛЬНОЕ ОПУБЛИКОВАНИЕ
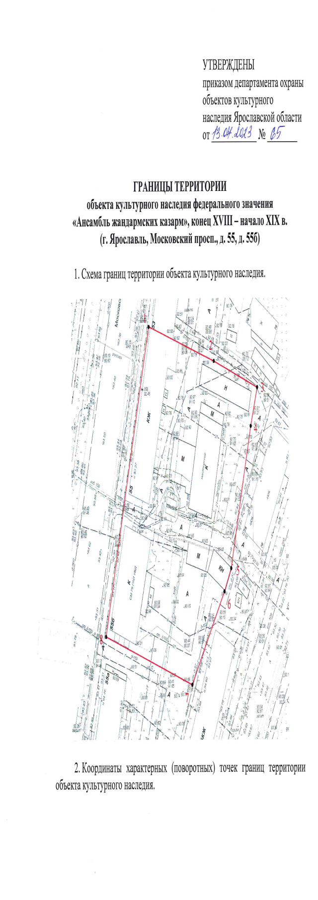
Приказ Департамента охраны объектов культурного наследия Ярославской области от 13.07.2023 № 65
"Об утверждении границ территории объекта культурного наследия федерального значения"
(Зарегистрирован 13.07.2023 № 36-13679)
Номер опубликования: 7601202307170003
Дата опубликования: 17.07.2023
Страница №2 из 4:
Увеличить