Постановление Правительства Ярославской области от 22.12.2016 № 1333-п
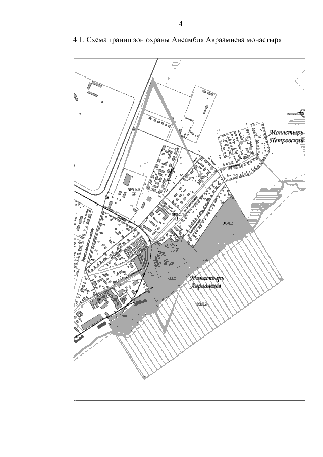
"Об утверждении границ зон охраны объекта культурного наследия федерального значения "Ансамбль Авраамиева монастыря, XVI-XVII вв." в городе Ростове Ярославской области, особых режимов использования земель и требований к градостроительным регламентам в границах территорий данных зон"
"Об утверждении границ зон охраны объекта культурного наследия федерального значения "Ансамбль Авраамиева монастыря, XVI-XVII вв." в городе Ростове Ярославской области, особых режимов использования земель и требований к градостроительным регламентам в границах территорий данных зон"
Номер опубликования: 7600201612260002
Дата опубликования:
26.12.2016
