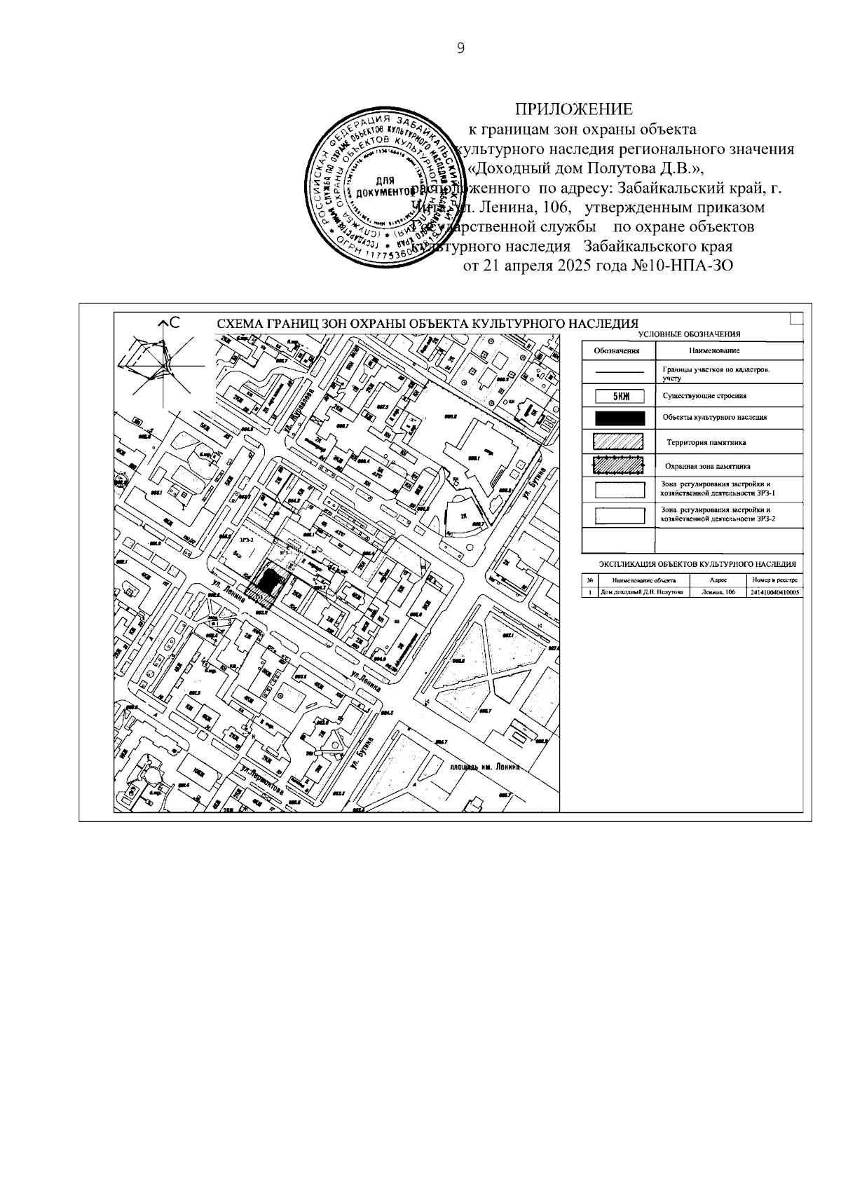
Приказ Государственной службы по охране объектов культурного наследия Забайкальского края от 21.04.2025 № 10-НПА-ЗО
"Об установлении границ зон охраны объекта культурного наследия регионального значения "Дом доходный Полутова Д.В.", расположенного по адресу: Забайкальский край, г. Чита, ул. Ленина, 106 и об утверждении режимов использования земель, земельных участков и требований к градостроительным регламентам в границах территорий данных зон"
(Зарегистрирован 21.04.2025 № 231-75-2025)
"Об установлении границ зон охраны объекта культурного наследия регионального значения "Дом доходный Полутова Д.В.", расположенного по адресу: Забайкальский край, г. Чита, ул. Ленина, 106 и об утверждении режимов использования земель, земельных участков и требований к градостроительным регламентам в границах территорий данных зон"
(Зарегистрирован 21.04.2025 № 231-75-2025)
Номер опубликования: 7501202504220012
Дата опубликования:
22.04.2025
