Официальное опубликование правовых актов
ОФИЦИАЛЬНОЕ ОПУБЛИКОВАНИЕ
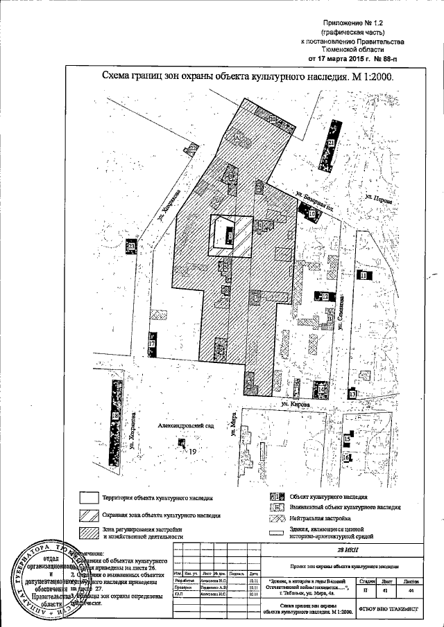
Постановление Правительства Тюменской области от 17.03.2015 № 88-п
"Об утверждении границ зон охраны объекта культурного наследия регионального значения, режимов использования земель и градостроительных регламентов в границах данных зон"
Номер опубликования: 7200201503200016
Дата опубликования: 20.03.2015
Страница №6 из 9:
Увеличить