Постановление Правительства Тюменской области от 26.02.2015 № 67-п
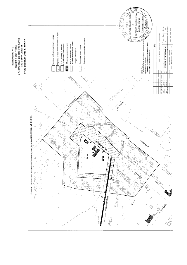
"Об утверждении границ зон охраны объекта культурного наследия регионального значения, режимов использования земель и градостроительных регламентов в границах данных зон"
"Об утверждении границ зон охраны объекта культурного наследия регионального значения, режимов использования земель и градостроительных регламентов в границах данных зон"
Номер опубликования: 7200201503030019
Дата опубликования:
03.03.2015
