Официальное опубликование правовых актов
ОФИЦИАЛЬНОЕ ОПУБЛИКОВАНИЕ
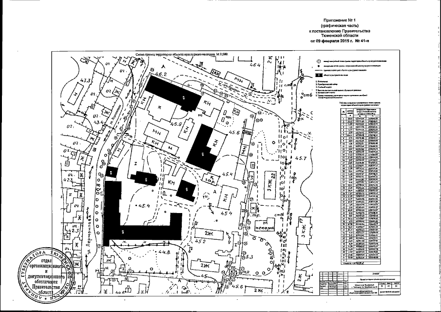
Постановление Правительства Тюменской области от 09.02.2015 № 41-п
"Об утверждении границ зон охраны объекта культурного наследия регионального значения, режимов использования земель и градостроительных регламентов в границах данных зон"
Номер опубликования: 7200201502120012
Дата опубликования: 12.02.2015
Страница №6 из 10:
Увеличить