Официальное опубликование правовых актов
ОФИЦИАЛЬНОЕ ОПУБЛИКОВАНИЕ
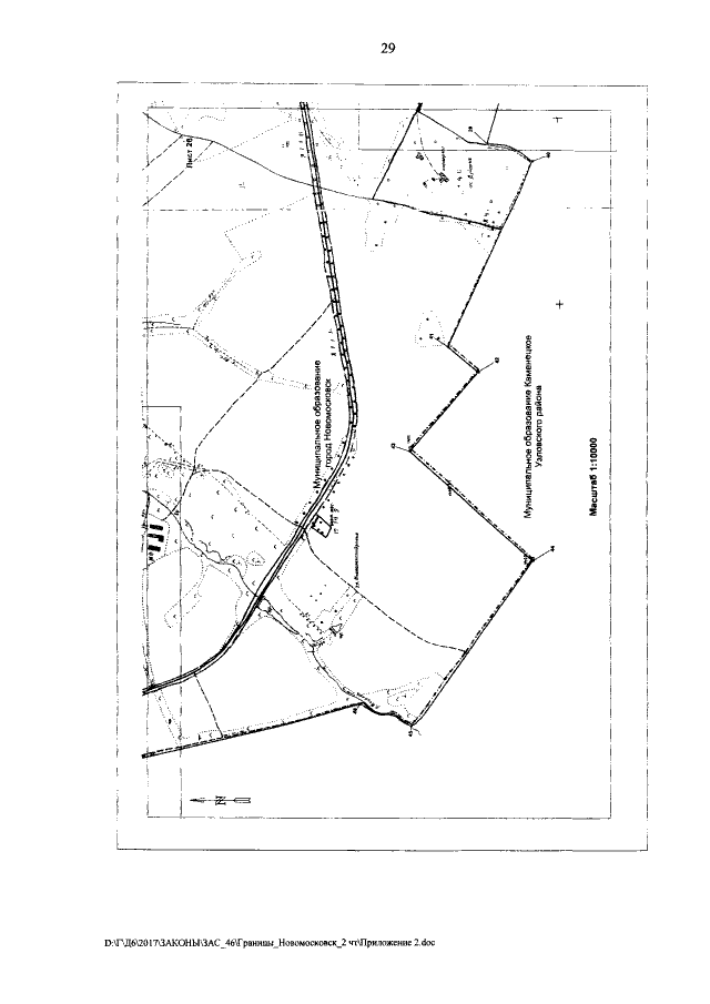
Закон Тульской области от 30.11.2017 № 88-ЗТО
"О внесении изменений в Закон Тульской области "Об установлении границы муниципального образования город Новомосковск"
Номер опубликования: 7100201712050003
Дата опубликования: 05.12.2017
Страница №47 из 66:
Увеличить