Официальное опубликование правовых актов
ОФИЦИАЛЬНОЕ ОПУБЛИКОВАНИЕ
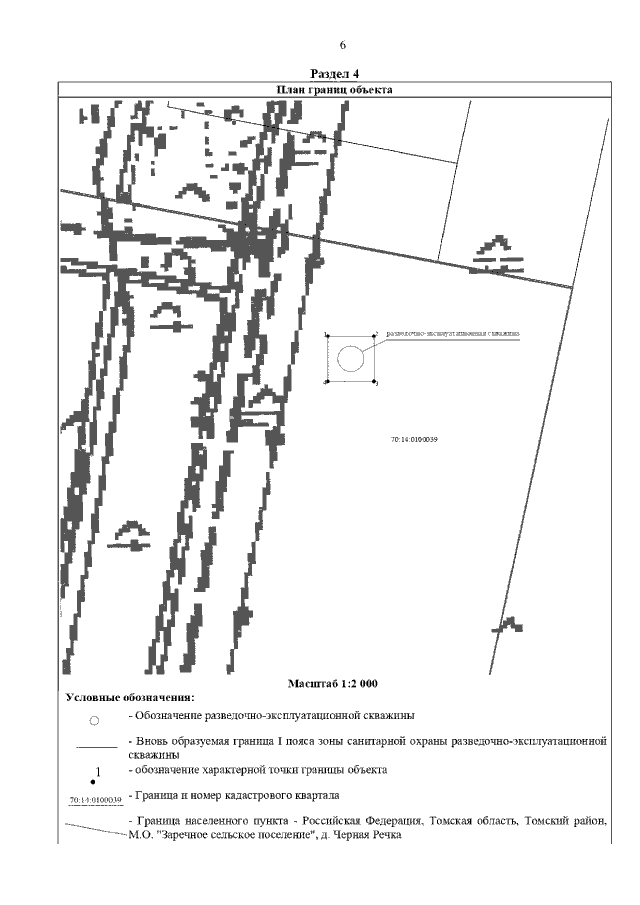
Приказ Департамента природных ресурсов и охраны окружающей среды Томской области от 08.06.2022 № 120
"О внесении изменений в приказ Департамента природных ресурсов и охраны окружающей среды Томской области от 06.08.2014 № 297"
Номер опубликования: 7001202206080010
Дата опубликования: 08.06.2022
Страница №6 из 16:
Увеличить