Официальное опубликование правовых актов
ОФИЦИАЛЬНОЕ ОПУБЛИКОВАНИЕ
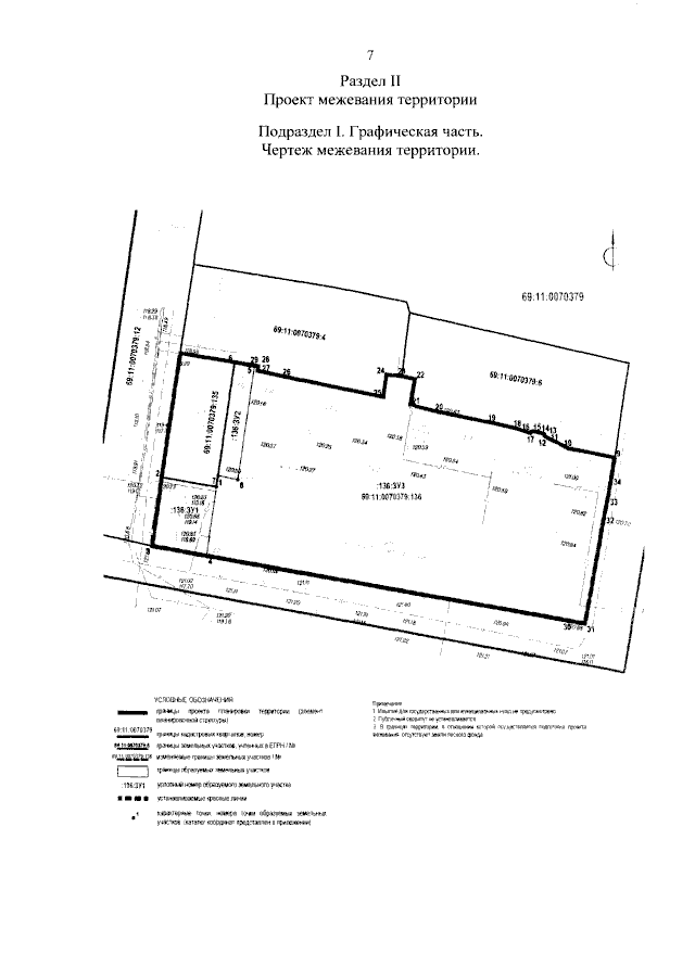
Распоряжение Правительства Тверской области от 21.07.2023 № 784-рп
"Об утверждении документации по планировке территории "Образец жилой застройки улицы", конец XVIII – начало XIX вв. Тверская область, г. Калязин, ул. Карла Маркса, д. 7/8"
Номер опубликования: 6900202307240003
Дата опубликования: 24.07.2023
Страница №7 из 10:
Увеличить