Официальное опубликование правовых актов
ОФИЦИАЛЬНОЕ ОПУБЛИКОВАНИЕ
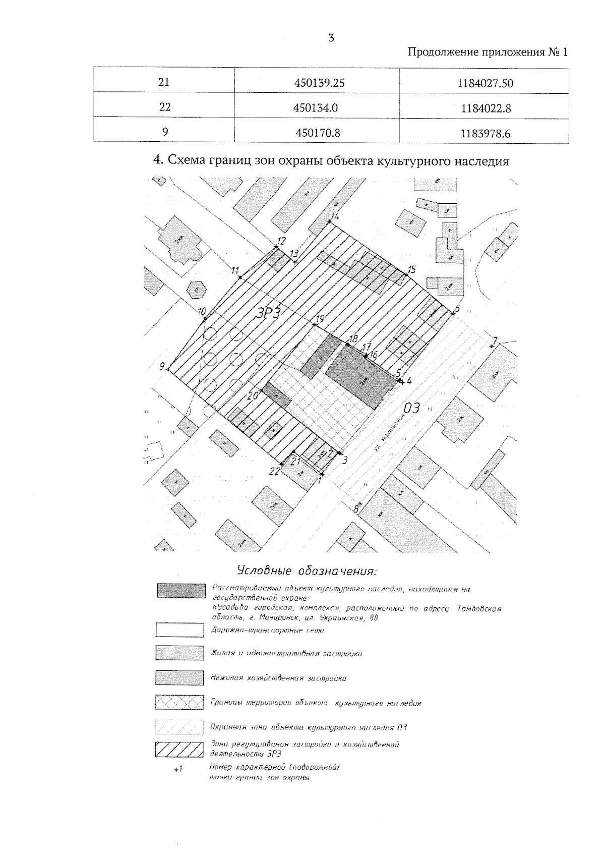
Приказ Департамента по государственной охране объектов культурного наследия Тамбовской области от 12.11.2025 № 363
"Об установлении зон охраны объекта культурного наследия регионального значения "Усадьба городская, комплекс" с входящим в его состав объектом культурного наследия регионального значения "Главный Дом" (Тамбовская область, г. Мичуринск, ул. Украинская, д. 88) и утверждении требований к градостроительным регламентам в границах территорий данных зон"
(Зарегистрирован 12.11.2025 № 363)
Номер опубликования: 6801202511140002
Дата опубликования: 14.11.2025
Страница №5 из 8:
Увеличить