Приказ Министерства экологии и природных ресурсов Тамбовской области от 13.01.2025 № 3
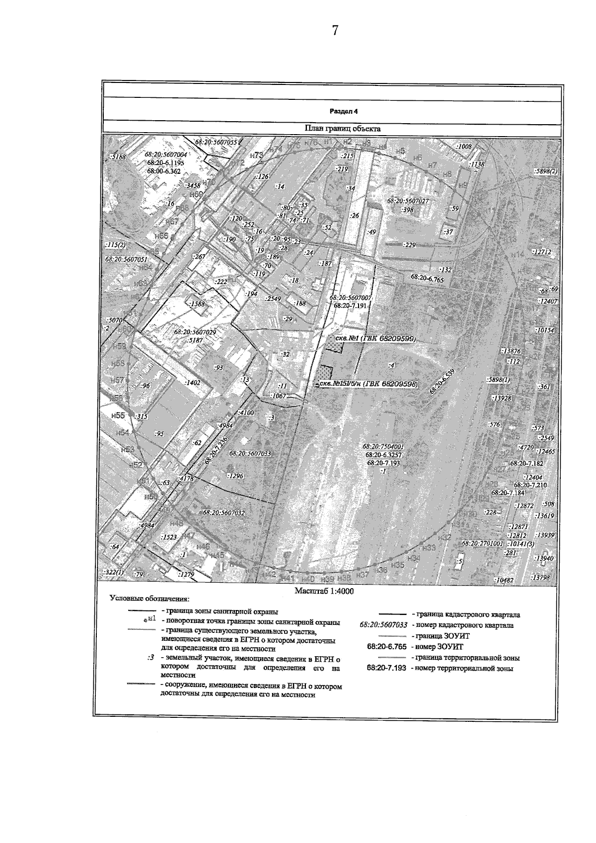
"Об установлении границ и режима зон санитарной охраны действующего водозабора железнодорожной станции Бокино"
(Зарегистрирован 13.01.2025 № 3)
"Об установлении границ и режима зон санитарной охраны действующего водозабора железнодорожной станции Бокино"
(Зарегистрирован 13.01.2025 № 3)
Номер опубликования: 6801202501140005
Дата опубликования:
14.01.2025
