Приказ Департамента по государственной охране объектов культурного наследия Тамбовской области от 13.03.2024 № 91
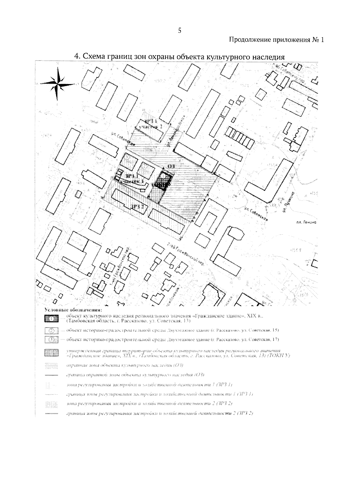
"Об установлении зон охраны объекта культурного наследия регионального значения "Гражданское здание" (Тамбовская область, г. Рассказово, ул. Советская, д. 13) и утверждении требований к градостроительным регламентам в границах территорий данных зон"
(Зарегистрирован 13.03.2024 № 91)
"Об установлении зон охраны объекта культурного наследия регионального значения "Гражданское здание" (Тамбовская область, г. Рассказово, ул. Советская, д. 13) и утверждении требований к градостроительным регламентам в границах территорий данных зон"
(Зарегистрирован 13.03.2024 № 91)
Номер опубликования: 6801202403180005
Дата опубликования:
18.03.2024
