Официальное опубликование правовых актов
ОФИЦИАЛЬНОЕ ОПУБЛИКОВАНИЕ
Приказ Управления по государственной охране объектов культурного наследия Тамбовской области от 06.06.2023 № 148
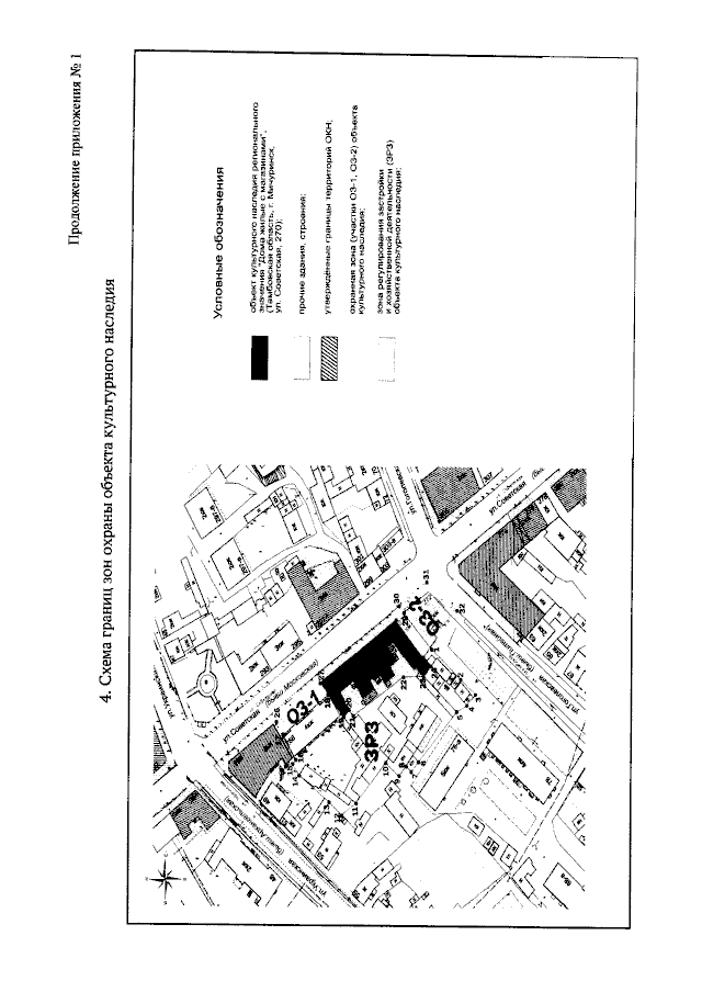
"Об установлении зон охраны объекта культурного наследия регионального значения "Дома жилые с магазинами" (Тамбовская область, г. Мичуринск, ул. Советская, д. 270) и утверждении требований к градостроительным регламентам в границах территорий данных зон"
(Зарегистрирован 06.06.2023 № 148)
Номер опубликования: 6801202306090003
Дата опубликования: 09.06.2023
Страница №7 из 11:
Увеличить