Официальное опубликование правовых актов
ОФИЦИАЛЬНОЕ ОПУБЛИКОВАНИЕ
Приказ Управления по государственной охране объектов культурного наследия Тамбовской области от 04.04.2023 № 75
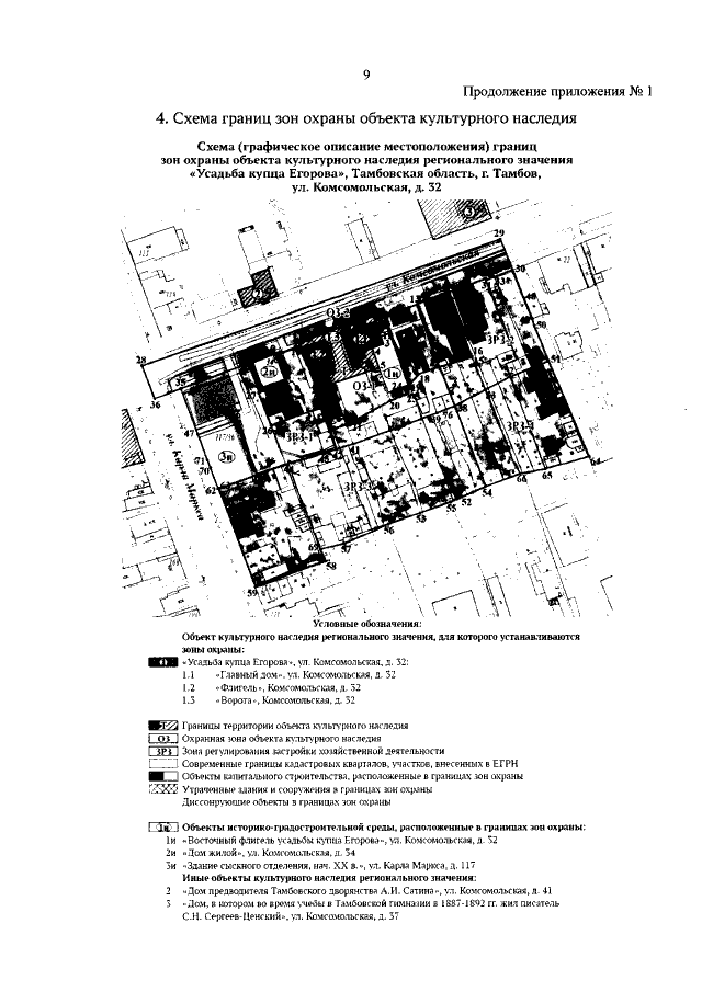
"Об установлении зон охраны объекта культурного наследия регионального значения "Усадьба купца Егорова" (Тамбовская область, г. Тамбов, ул. Комсомольская, д. 32) и утверждении требований к градостроительным регламентам в границах территорий данных зон"
(Зарегистрирован 04.04.2023 № 75)
Номер опубликования: 6801202304060006
Дата опубликования: 06.04.2023
Страница №11 из 18:
Увеличить