Приказ Управления по государственной охране объектов культурного наследия Тамбовской области от 27.02.2023 № 44
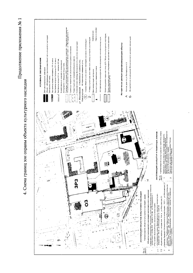
"Об установлении зон охраны объекта культурного наследия регионального значения "Церковно-приходская Ольгинская школа при Вознесенском женском монастыре" (Тамбовская область, г.Тамбов, ул.Володарского, д.7) и утверждении требований к градостроительным регламентам в границах территорий данных зон"
(Зарегистрирован 27.02.2023 № 44)
"Об установлении зон охраны объекта культурного наследия регионального значения "Церковно-приходская Ольгинская школа при Вознесенском женском монастыре" (Тамбовская область, г.Тамбов, ул.Володарского, д.7) и утверждении требований к градостроительным регламентам в границах территорий данных зон"
(Зарегистрирован 27.02.2023 № 44)
Номер опубликования: 6801202302280004
Дата опубликования:
28.02.2023
