Официальное опубликование правовых актов
ОФИЦИАЛЬНОЕ ОПУБЛИКОВАНИЕ
Приказ Управления по государственной охране объектов культурного наследия Тамбовской области от 13.07.2022 № 169
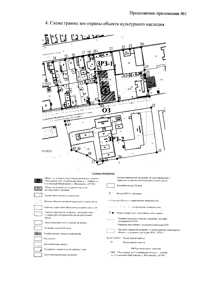
"О внесении изменений в приложение № 1 к приказу управления по государственной охране объектов культурного наследия области от 28.04.2022 № 93 "Об установлении зон охраны объекта культурного наследия регионального значения "Ночлежный дом" (Тамбовская область, г. Тамбов, ул. Студенецкая набережная, ул.Московская, 65/68) и утверждении требований к градостроительным регламентам в границах территорий данных зон"
Номер опубликования: 6801202207140006
Дата опубликования: 14.07.2022
Страница №6 из 6:
Увеличить