Приказ Управления по государственной охране объектов культурного наследия Тамбовской области от 06.05.2022 № 109
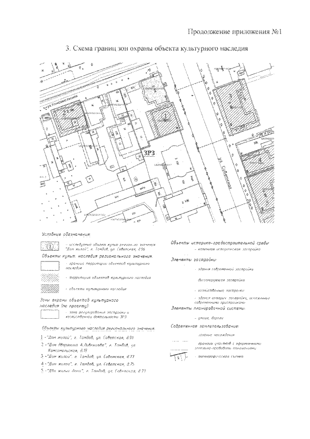
"Об установлении зон охраны объекта культурного наследия регионального значения "Дом жилой" (Тамбовская область, г. Тамбов, ул. Советская, 96) и утверждении требований к градостроительным регламентам в границах территорий данных зон"
"Об установлении зон охраны объекта культурного наследия регионального значения "Дом жилой" (Тамбовская область, г. Тамбов, ул. Советская, 96) и утверждении требований к градостроительным регламентам в границах территорий данных зон"
Номер опубликования: 6801202205120009
Дата опубликования:
12.05.2022
