Приказ Управления по государственной охране объектов культурного наследия Тамбовской области от 17.11.2021 № 180
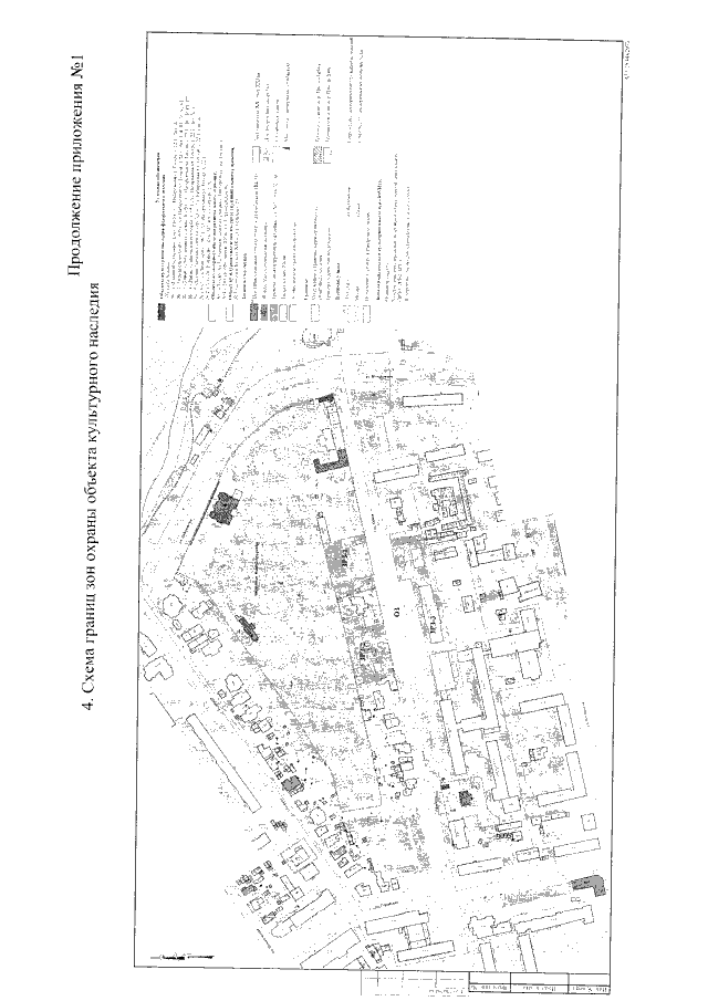
"Об установлении зон охраны объекта культурного наследия регионального значения "Дом купца Толмачева и домик садовника" (Тамбовская область, г. Тамбов, ул. Гоголя, д. 5) и утверждении требований к градостроительным регламентам в границах территорий данных зон"
"Об установлении зон охраны объекта культурного наследия регионального значения "Дом купца Толмачева и домик садовника" (Тамбовская область, г. Тамбов, ул. Гоголя, д. 5) и утверждении требований к градостроительным регламентам в границах территорий данных зон"
Номер опубликования: 6801202111220001
Дата опубликования:
22.11.2021
