Официальное опубликование правовых актов
ОФИЦИАЛЬНОЕ ОПУБЛИКОВАНИЕ
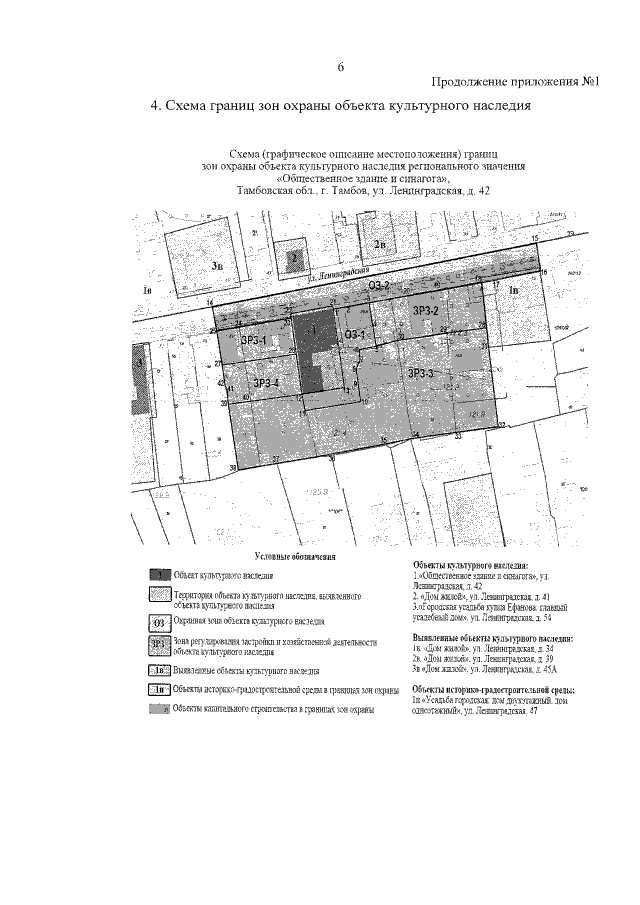
Приказ Управления по государственной охране объектов культурного наследия Тамбовской области от 21.12.2020 № 395
"Об установлении зон охраны объекта культурного наследия регионального значения "Общественное здание и синагога" (Тамбовская область, г.Тамбов‚ ул.Ленинградская‚ д.42) и утверждении требований к градостроительным регламентам в границах территорий данных зон"
Номер опубликования: 6801202012220017
Дата опубликования: 22.12.2020
Страница №8 из 13:
Увеличить