Официальное опубликование правовых актов
ОФИЦИАЛЬНОЕ ОПУБЛИКОВАНИЕ
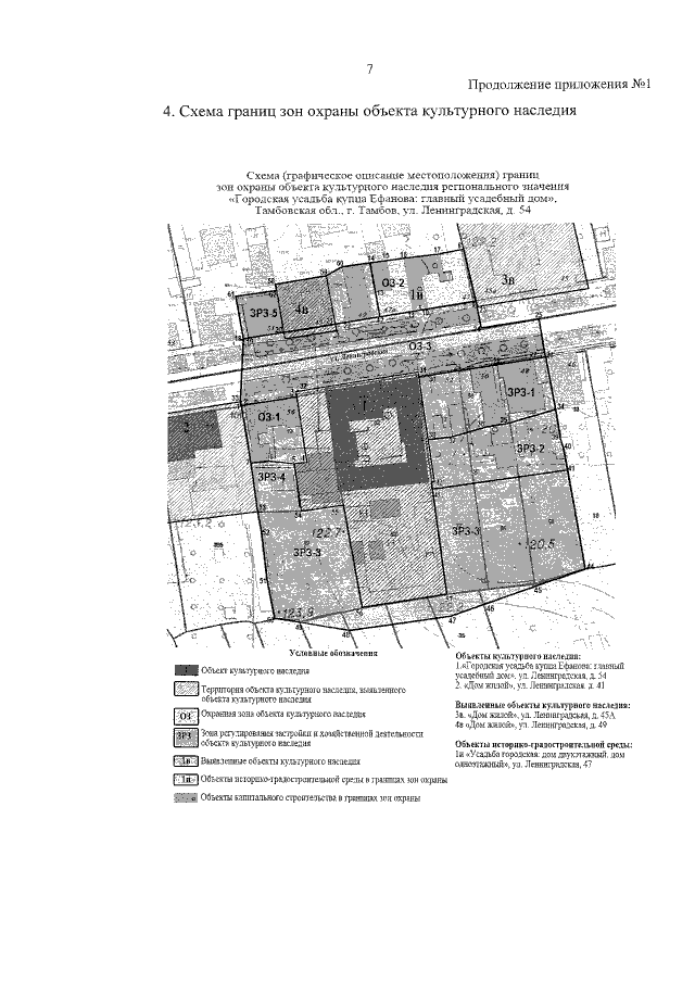
Приказ Управления по государственной охране объектов культурного наследия Тамбовской области от 21.12.2020 № 394
"Об установлении зон охраны объекта культурного наследия регионального значения "Городская усадьба купца Ефанова: главный усадебный дом" (Тамбовская область, г.Тамбов, ул.Ленинградская‚ д.54) и утверждении требований к градостроительным регламентам в границах территорий данных зон"
Номер опубликования: 6801202012220011
Дата опубликования: 22.12.2020
Страница №9 из 14:
Увеличить