Официальное опубликование правовых актов
ОФИЦИАЛЬНОЕ ОПУБЛИКОВАНИЕ
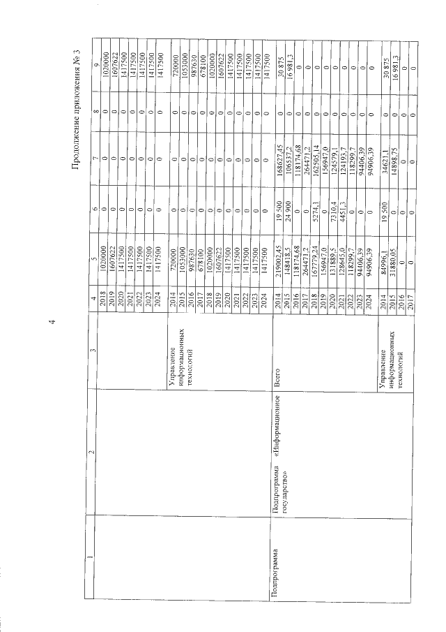
Постановление администрации Тамбовской области от 18.11.2020 № 925
"О внесении изменений в государственную программу Тамбовской области "Информационное общество"
Номер опубликования: 6800202011200003
Дата опубликования: 20.11.2020
Страница №41 из 44:
Увеличить