Официальное опубликование правовых актов
ОФИЦИАЛЬНОЕ ОПУБЛИКОВАНИЕ
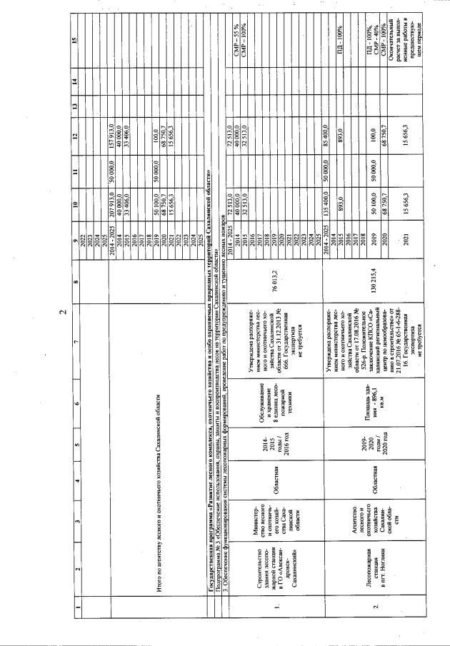
Постановление Правительства Сахалинской области от 29.12.2021 № 600
"О внесении изменений в государственную программу Сахалинской области "Развитие лесного комплекса, охотничьего хозяйства и особо охраняемых природных территорий Сахалинской области", утвержденную постановлением Правительства Сахалинской области от 18.07.2013 № 353"
Номер опубликования: 6500202112300010
Дата опубликования: 30.12.2021
Страница №7 из 17:
Увеличить