Официальное опубликование правовых актов
ОФИЦИАЛЬНОЕ ОПУБЛИКОВАНИЕ
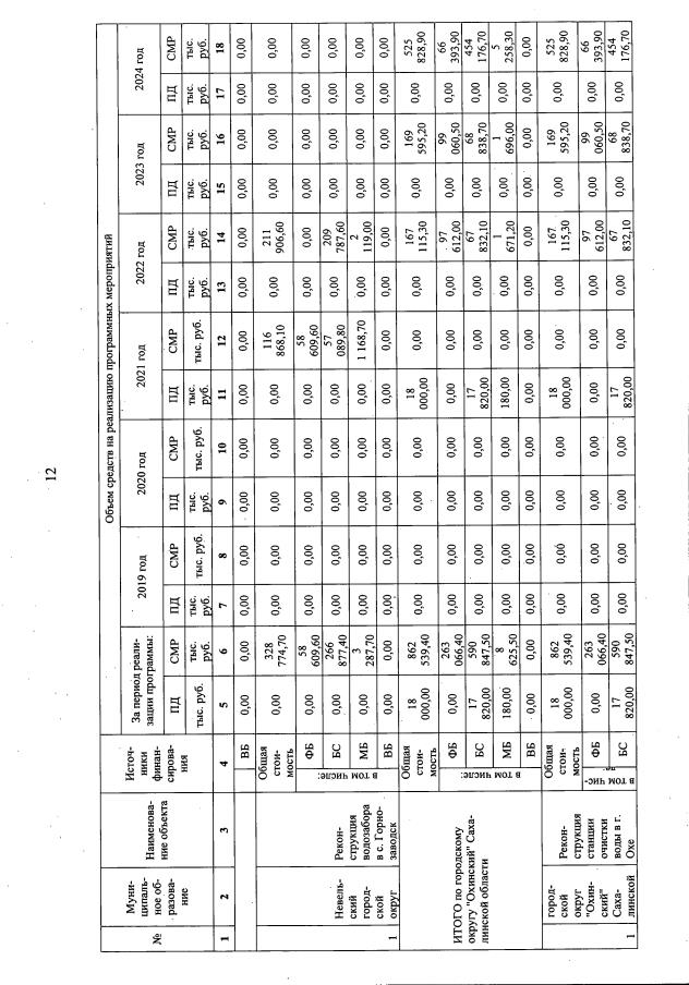
Постановление Правительства Сахалинской области от 31.03.2021 № 121
"О внесении изменений в государственную программу Сахалинской области "Обеспечение населения Сахалинской области качественными услугами жилищно-коммунального хозяйства", утвержденную постановлением Правительства Сахалинской области от 31.05.2013 № 278"
Номер опубликования: 6500202104050003
Дата опубликования: 05.04.2021
Страница №213 из 264:
Увеличить