Официальное опубликование правовых актов
ОФИЦИАЛЬНОЕ ОПУБЛИКОВАНИЕ
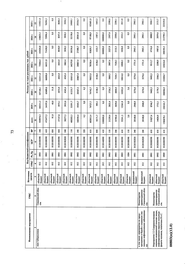
Постановление Правительства Сахалинской области от 28.12.2020 № 639
"О внесении изменений в постановление Правительства Сахалинской области от 31.05.2013 № 281 "Об утверждении государственной программы Сахалинской области "Развитие здравоохранения в Сахалинской области"
Номер опубликования: 6500202012290004
Дата опубликования: 29.12.2020
Страница №75 из 130:
Увеличить