Официальное опубликование правовых актов
ОФИЦИАЛЬНОЕ ОПУБЛИКОВАНИЕ
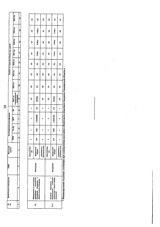
Постановление Правительства Сахалинской области от 04.04.2017 № 148
"О внесении изменений в государственную программу Сахалинской области "Охрана окружающей среды, воспроизводство и использование природных ресурсов Сахалинской области на 2014 - 2020 годы"
Номер опубликования: 6500201704060005
Дата опубликования: 06.04.2017
Страница №87 из 94:
Увеличить