Приказ Управления по охране объектов культурного наследия Саратовской области от 12.02.2021 № 01-04/25
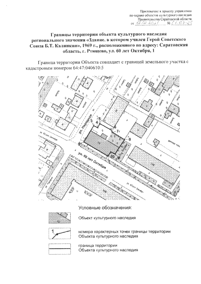
"Об утверждении границ территории и требований к осуществлению деятельности в границах территории объекта культурного наследия регионального значения, расположенного по адресу: Саратовская область, г. Ртищево, ул. 60 лет Октября, 1"
"Об утверждении границ территории и требований к осуществлению деятельности в границах территории объекта культурного наследия регионального значения, расположенного по адресу: Саратовская область, г. Ртищево, ул. 60 лет Октября, 1"
Номер опубликования: 6401202102170004
Дата опубликования:
17.02.2021
