Постановление Губернатора Саратовской области от 12.01.2023 № 01-04/6
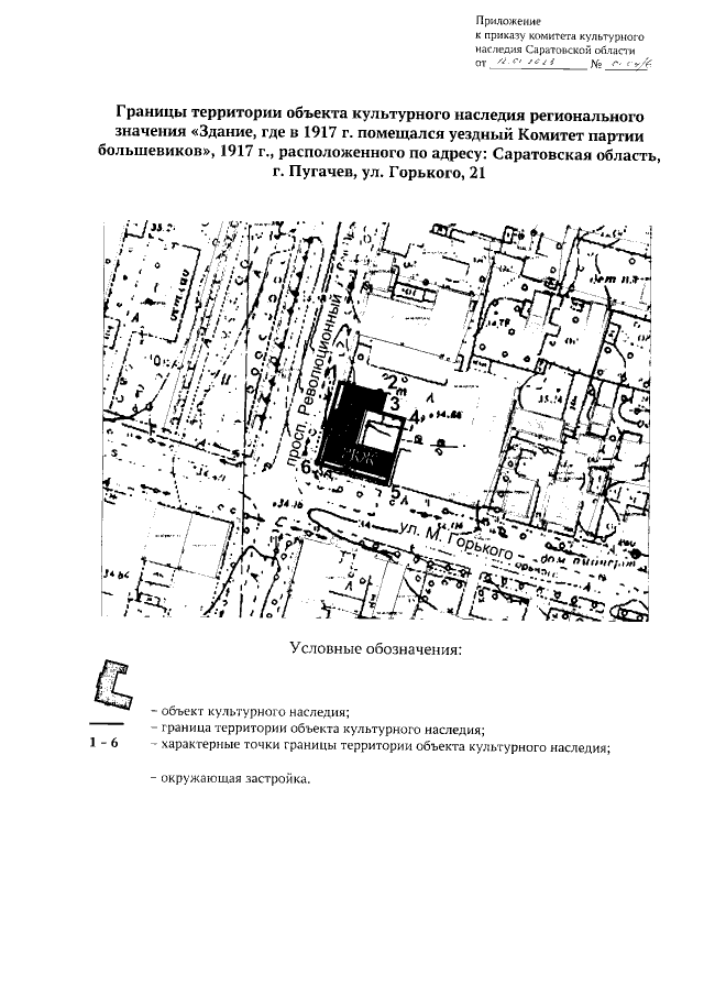
"Об утверждении границ территории и требований к осуществлению деятельности в границах территории объекта культурного наследия регионального значения, расположенного по адресу: Саратовская область, г. Пугачев, ул. Горького, 21"
"Об утверждении границ территории и требований к осуществлению деятельности в границах территории объекта культурного наследия регионального значения, расположенного по адресу: Саратовская область, г. Пугачев, ул. Горького, 21"
Номер опубликования: 6400202301180015
Дата опубликования:
18.01.2023
