Официальное опубликование правовых актов
ОФИЦИАЛЬНОЕ ОПУБЛИКОВАНИЕ
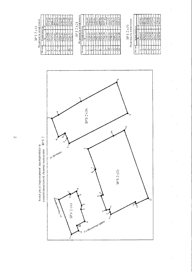
Постановление Правительства Саратовской области от 04.12.2017 № 616-П
"Об утверждении зон охраны объекта культурного наследия регионального значения "Мельница и торговый дом Э.И.Бореля, 1876 г., реконструкция 1888 г., арх.А.М.Салько (4 здания и 1 сооружение)", расположенного по адресу: г.Саратов, ул.им.Чернышевского Н.Г., 50 (2-й Мельничный пр-д, Дегтярный пр-д)"
Номер опубликования: 6400201712110013
Дата опубликования: 11.12.2017
Страница №10 из 25:
Увеличить