Приказ Министерства транспорта и автомобильных дорог Самарской области от 19.09.2025 № 268
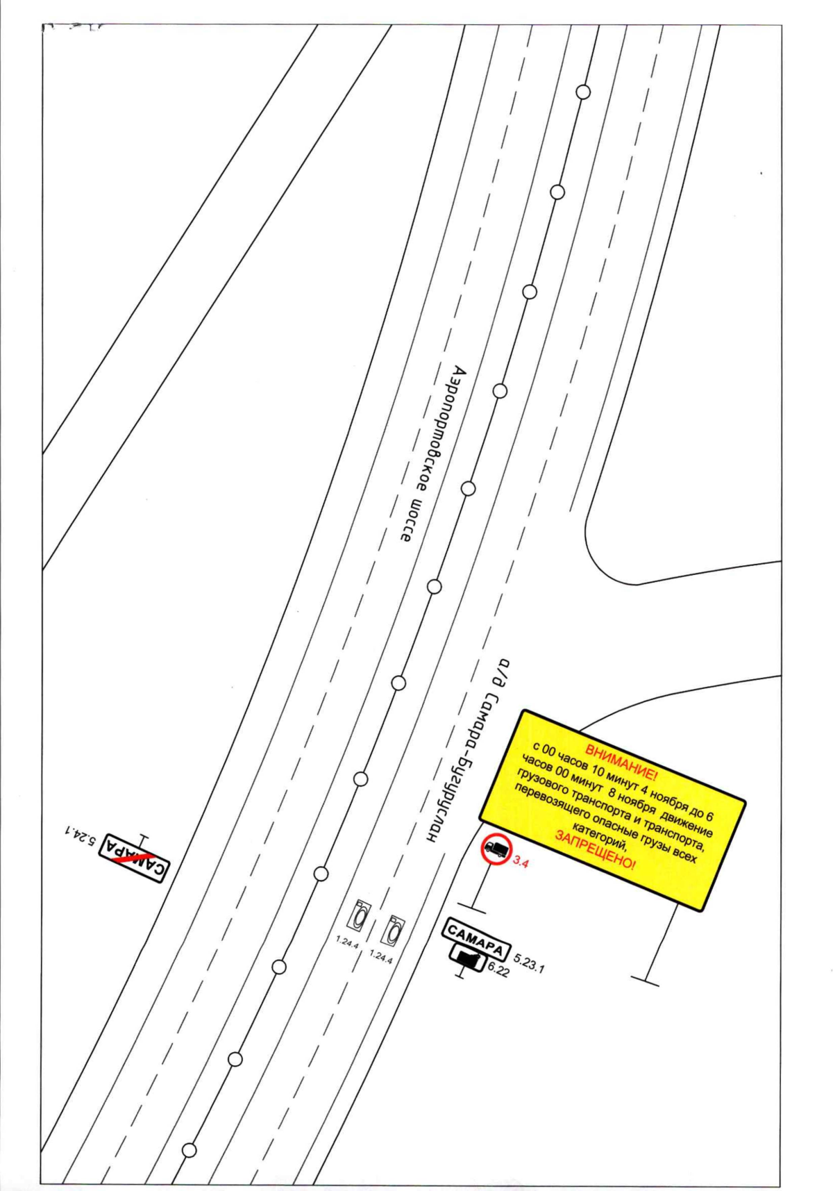
"О временном ограничении движения транспортных средств на автомобильных дорогах общего пользования регионального или межмуниципального значения в Самарской области в связи с проведением в Самарской области Международного спортивного форума "Россия – спортивная держава"
(Зарегистрирован 19.09.2025 № МТ-25/268)
"О временном ограничении движения транспортных средств на автомобильных дорогах общего пользования регионального или межмуниципального значения в Самарской области в связи с проведением в Самарской области Международного спортивного форума "Россия – спортивная держава"
(Зарегистрирован 19.09.2025 № МТ-25/268)
Номер опубликования: 6301202509230001
Дата опубликования:
23.09.2025
