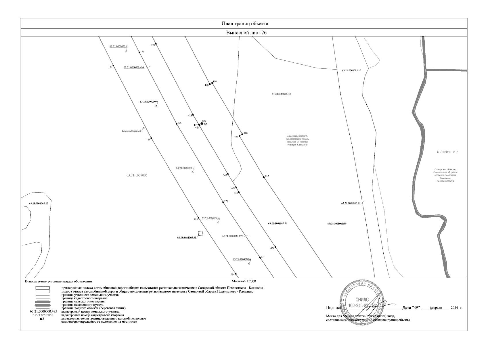
Приказ Министерства транспорта и автомобильных дорог Самарской области от 17.06.2024 № 156
"Об установлении зоны с особыми условиями использования территории – придорожной полосы автомобильной дороги общего пользования регионального значения в Самарской области Похвистнево – Клявлино, расположенной в муниципальных районах Похвистневский, Камышлинский, Клявлинский Самарской области"
(Зарегистрирован 17.06.2024 № МТ-24/156)
"Об установлении зоны с особыми условиями использования территории – придорожной полосы автомобильной дороги общего пользования регионального значения в Самарской области Похвистнево – Клявлино, расположенной в муниципальных районах Похвистневский, Камышлинский, Клявлинский Самарской области"
(Зарегистрирован 17.06.2024 № МТ-24/156)
Номер опубликования: 6301202406170015
Дата опубликования:
17.06.2024
